沖縄・宮古島 日本一ウミガメに逢えるビーチ シュノーケリング&グルメなど

2026/04/20~04/23、三泊四日で沖縄県宮古島に旅行してきました。大体年2回ほど宮古島には行ってます、ウミガメシュノーケル目的です、新城海岸が有名ですがウミガメを見つけるコツを以下記事にしてます。
4月はどちらかと言えば宮古島の閑散期にあたります、レンタカーもホテル代も安いのに海にも入れて観光にもちょうどいい気温で、おすすめの季節です。
航空料金+ホテル費用+レンタカー
航空料金 羽田⇔宮古島 ANA減額マイルキャンペーンで予約
今回はANAの減額マイルキャンペーンで予約しました、以下のキャンペーンです。
本来往復で19000マイルが13800マイルで予約出来ました。
コスパ最高で、利便性抜群のランズコンドホテル宮古島

今回三泊お世話になったのはランズコンドホテル宮古島に宿泊しました、こちらこの期間個室のホテルでは最安のホテル、料金はなんと2名3泊で¥13,910、一泊4636円と激安でした。
ただしフロントはなく、前日までに部屋番号と暗証番号が送られてきて、それでチェックインするコスト重視のホテル、タオル交換などもありません、一応フロントはありますが人は見た事ありませんでした。

こちらの共有スペースでアメニティなどを自分で補充します。

今回の部屋は、1階の8号室でした。部屋は結構広め、ベランダもあり何故かハンモックもあります。

嬉しいのがキッチン付、食器なども揃ってます、冷蔵庫は小型ですが氷も作れます。

電子レンジも完備

洗面台とトイレ、最新のものが入ってました。

お風呂はバスタブはありませんが、明らかにバスタブがあったであろうスペースが空いていて非常に広いシャワールームでした。

そしてベランダには洗濯機と乾燥機も完備しており、海目的の場合は非常に利便性が高いホテルです。

何気に便利だったのが、ベランダの高さが低く、駐車場が目の前なので車から直接濡れた水着やウェットスーツ、荷物などを出し入れ出来る点です、過去一便利でした。

ルームツアー動画は以下です。
利便性とコスパに非常に優れたホテルです、また絶対リピートしたい。
激安レンタカー三泊四日予約で6,783円、一日1,695円!

今回のレンタカーはL.B.rent-a-carで借りました、cafeやホテルも併設しており副業でレンタカー事業も始めたそうです。
料金は楽天クーポンなども利用し三泊四日予約で6,783円、一日1,695円という激安料金で借りれました。
車は古めのタント、キズが沢山入っていていい感じです(笑)、レンタカーはボロボロの方が緊張しなくてもいいので好きです

燃費もそこそこ良く、かなり走ったわりにはガソリン代は安く済みました。
1日目・ガーリックシュリンプとウミガメ

今年初めての宮古島旅行、年最低でも二回は来てるのでホーム感半端ないです。
先ずは宮古そは まっすぐへ、オープン3年目だそうです。まっすぐそば頂きました

優しいスープでソーキと三枚肉がホロホロで最高に美味しかった、またリピートします
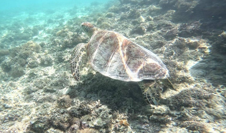
腹ごしらえが終わったら定番の新城海岸




最高の天気でしたが、生憎の干潮でいつもの勢いじゃなかったんですが、、なんとか四頭のウミガメに逢えました。






今回は1.5mmのウェットスーツを持ってきたんですが、ちょうど良かったです。Amazonで5000円くらいでしたが快適でした。

そしてシュノーケリング後は宮古島に来たら必ず来るお店「レッドドラゴン」

定番のガーリックシュリンプと期間限定のシュリンプカレー頂きました。

ガーリックシュリンプは毎度絶品、シュリンプカレーはグリーンカレー風味で、これまた絶品でした、是非定番メニューにして欲しい
2日目・ウミガメラッシュな二日目

宮古島二日目、先ずは朝食ということでお初の久松製麺所の釜玉そば!

提供させるのは麺と生卵


一杯500円、自分で生卵、かつお粉、ネギ、だし醤油を加えて食べます、麺がモチモチした食感でめちゃ美味でした、ここは通いたい。
そして腹ごしらえが済んだあとは、定番の新城海岸へ、二日目もウミガメに会いに行きました

二日目は潮も満ちていたので、いきなりのウミガメラッシュ、11頭逢えました





やっぱり新城海岸は最高です
そしてシュノーケリング後は「かわみつ食堂」、前回に続いて2回目の訪問

元祖宮古まぜそばと冷やしそば頂きました


宮古まぜそばは安定の濃い味で激ウマ、冷やしそばはさっぱりいただけました
やっぱこの店は宮古まぜそばが美味い
そしてその後は宮古島に来たら必ず訪問する「HARRY’S Shrimp Truck /ハリーズ」、ガーリックシュリンプの名店

平日なのに行列でした


最高のロケーションと味で大満足です。
そしてホテルのすぐ近くの砂山ビーチ、サンセット見てきました、めちゃくちゃ美しかった。


そんなこんなで二日目も楽しい一日でした
3日目・過去一ウミガメと逢えた一日

宮古島三日目は張り切って朝8時から新城海岸へ、三日目は潮もいい感じで、波もなくシュノーケリング日和でした。
4月でも1.5mmのウェットスーツ着てれば全然寒く無かったです、そして今日なんと合計20頭以上は逢えました、過去一です







一度に六頭に囲まれることもありました、大満足の一日です、宮古島最高!
そしてシュノーケリング後は「お食事処あらやがま」、前回訪問して美味しかったので再訪です

人気の旨辛肉野菜そば頂きました、辛口の宮古そばですが、野菜たっぷりで麺もコシがあって美味しい

激オススメです!、そんなこんなで大満足の三日目でした
4日目・かめそばとルーラーズタコス

宮古島四日目、先ずは「伊良部そば かめ」へ超有名店ですが初めてです。
普通の民家な佇まいで、ちょっと入るのを躊躇したくなる(笑)、かめそぼと伊良部そば頂きました

かめそばは肉系、伊良部そばは魚介系の具材が入ってます、麺はコシがあり、スープも出汁がしっかり感じられて美味しかった、是非また行きたい
そして続いてRuLer’s TACORiCEへ

タコライスとタコス頂きました。

今までテイクアウトしかした事が無かったんですが、初めて店内で頂きました。
やっぱ出来立てが1.5倍は美味い、そしてラストはマンゴーカフェの諭吉に会って終了

今回も楽しい宮古島旅行でした
お得情報や最新MNP情報はTwitterでも配信してます、フォローをよろしくお願いします


https://dpar72.com/2023/09/14/post-19186/









